
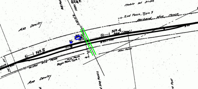
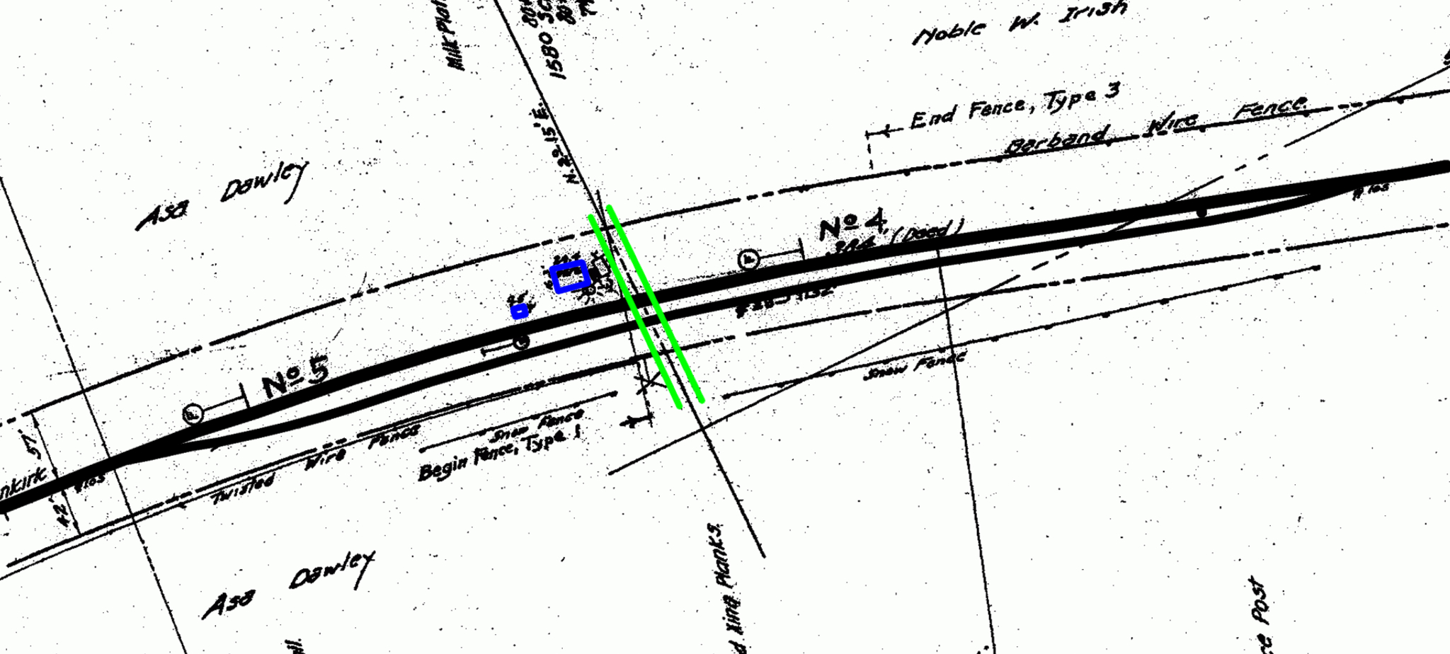
West Perrysburg is a hamlet in the town of Perrysburg and was a station on the Erie Railroad line between Salamanca and Dunkirk. An Erie Railroad valuation map shows a small (16′ 3″ x 24′ 4′) station on the north side of the tracks just to the west of West Perrysburg Road. There also appears to be a small (approximately 4′ x’ 4′) milk platform just to the west of the station.
I am not sure when the station was built. It first appears in a December 1929 timetable.

History
West Perrysburg was a station on the original main line of the Erie Railroad. This line was operated by the New York and Erie Rail Road (1851 – 1861), the Erie Railway (1861 – 1878), the New York, Lake Erie and Western Railroad (1878 – 1895), the Erie Railroad (1895 – 1960), and the The Erie Lackawanna Railroad (1960 – 1976). The line between Dunkirk and Dayton, NY was abandoned in 1976 with the creation of the Consolidated Rail Corporation (Conrail).
Clippings
There are no clipping yet. Be patient!





