
Allegany is a village in Cattaraugus County just to the west of Olean and is the home of Saint Bonaventure University. An 1887 guidebook to the Erie Railroad described Allegany as
A prosperous village with about 1,500 inhabitants. A Franciscan College and Convent are located in the vicinity, and St. Elizabeth’s Academy, under the charge of the Sisters of the Order of St. Francis.

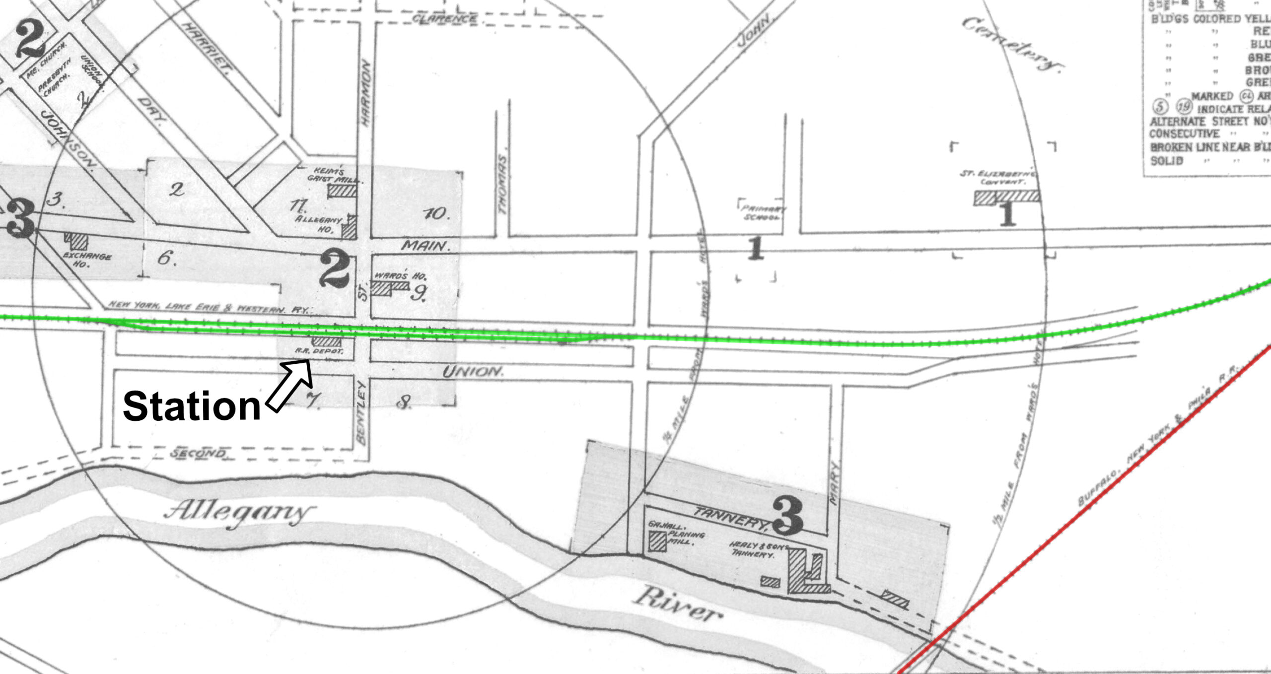
The town was served by three railroads: the Main Line of the Erie Railroad, which had a station just west of downtown Allegany, the Western New York and Pennsylvania Railroad which ran along the south edge of the town after crossing the Allegheny River, and the Western New York and Pennsylvania Traction Company which ran down Main Street.
Erie Railroad


The Erie Railroad station was located on the south side of the tracks just to the west of Harmon Avenue, also known as Bentley Street, and now known as South 5th Street.

Station Photos
Other Photos
Pennsylvania Railroad

The Western New York and Pennsylvania Railroad, later part of the Pennsylvania Railroad, ran to the south of Allegany and the Allegheny River (note the different spellings) before crossing the river at the border between Allegany and Olean. The right of way is clearly visible south of the river on Google Maps as is the bridge abutment in the middle of the river.
Note that there is a modern Western New York and Pennsylvania Railroad that is separate from the historic one.
Station Photos
Western New York and Pennsylvania Traction Company
The Western New York and Pennsylvania Traction Company was separate from the Western New York and Pennsylvania Railroad and ran along Main Street in Allegany. I have not found much about it, but did find the photo below of an October 31, 1910 accident on the line near Allegany. According to notes on the back of the photo, one person, Will Shuff, was killed in the accident.

Saint Bonaventure Railroad
Allegany is the home of Saint Bonaventure University, which has its own railroad, the Saint Bonaventure Railroad, for a number years that was used to haul coal to the school’s power plant.

Clippings
Other Photographs
Maps
Timetables
Learn More
- Wikipedia. “Allegany, NY“





















